Los datos suelen hablar por si solos, y el verano de 2020 ha sido muy positivo para el sector turístico asturiano, sin duda el Principado ha sido uno de los destinos estrella, motivos y razones no faltan para que tanto amantes de la gastronomía, la cultura, el ocio, la naturaleza y las actividades marinas y subacuáticas se hayan decantando tanto por las zonas de costa como por el interior. Asturias es vida activa, deporte y aventura, y sus aguas permiten a los amantes del buceo sumergirse en Cantábrico para disfrutar de su fauna y flora marina.
Sitios como topbuceo.net han destacado y se han hecho eco del crecimiento del buceo tanto en Asturias como en el resto del país, además en su sitio web puedes encontrar mucha información útil para ti, consejos para comprar equipos, trajes, descubrir la fauna marina y te recomendamos que leas con mucha atención su Top de recomendaciones.
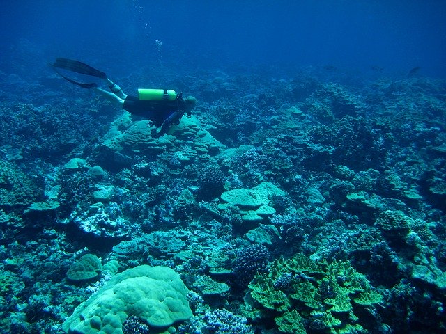
Sumérgete en Asturias
Elegir los mejores lugares para bucear en Asturias no es “sencillo”, pues el Principado tiene cientos de kilómetros de playas, con sus calas, “pedreros”, y zonas a las que puedes llegar en lancha, todo dependerá de tus ganas de vivir una jornada de aventura en las costas asturianas y de las personas que te acompañen, a la hora de bucear es importante hacerlo acompañado, y en caso de que te estés iniciando no olvides contar con un monitor, club de buceo, o persona que te pueda aportar compañía y seguridad, en la mar no es necesario asumir riesgos innecesarios.
La mejor época para bucear se suele decir que va desde la primavera hasta los últimos días del verano, pero durante otras fechas del año, siempre que la mar y el tiempo lo permita podrás sumergirte bien equipado, puede ser una experiencia y una excusa perfecta para disfrutar de los fondos marinos de la Costa Verde, recuerda que las aguas de Asturias, y del Cantábrico en general son bastante frías, por tanto un buen traje siempre será un buen aliado.
Cómo bien sabrás para bucear se necesita un traje, gafas, aletas, y dependiendo de la profundidad plomos (para bajar y sumergirse) y también bombonas de oxigeno, consulta siempre a un experto en caso de que seas “principiante”, y no te la juegues en el caso de que desconozcas la zona en la que realizarás tus inmersiones.
Lugares para bucear en Asturias
En la zona de Peñes, Cabo Peñas, tienes uno de los lugares más bonitos para disfrutar de los fondos marinos asturianos, ya de por si el entorno es un lugar bello en todos los aspectos, pero también es uno de los más complicados debido al estado de la mar, para los afortunados que han podido moverse por su fondos y descubrir sus profundidades la experiencia la califican de espectacular. Además muy cerca tienes la costa de Luanco, Antromero y Candás, Perlora, El Tranqueru, Xivares, que son lugares bellos y que son mucho más accesibles y seguros, siempre y cuando se actúe de manera responsable, pero no olvides bucear en las aguas de Carranques y su entorno, te lo recomendamos.
La zona de Gijón también es otro de los puntos de encuentro para los amantes del buceo, la bahía de la capital de la Costa Verde ofrece muchas opciones, y tiene fondos marinos que te deslumbrarán, en la oficina de turismo de Gijón o contactando con algún club de buceo de la zona te podrán ofrecer datos e información muy útil e importante para ti.
En Muros del Nalón, se encuentra otra de las playas que te recomendamos en el día de hoy, Playa del Aguilar, destaca por sus arenales y por ser también una playa ideal para practicar otros tipos de deportes como el surf, pero sin duda es otro de los lugares de referencia para los amantes del buceo.
Si deseas vivir una jornada en la que puedas disfrutar de un buen arenal y sumergirte en sus aguas otra de las recomendaciones es la Playa de Porcia, una joya del occidente de Asturias. Y no podemos olvidarnos de la Playa de Mexota y sus alrededores, otro lugar del Paraíso Natural, en el que podrás hacer mil y una actividades, buceo incluido.
En el Concejo de Villaviciosa también encontrarás la Playa de Merón, puedes acceder a ella tanto a pie como utilizando tu medio de transporte, es otro de los lugares más “elegidos” por cientos de buceadores, además en su entorno podrás disfrutar de yacimientos con huellas de dinosaurios, un plan perfecto para una jornada activa.
De punta a punta y en toda la costa asturiana encontrarás playas, grutas, zonas de buceo y arenales en los que podrás ir adentrándote para sumergirte en las aguas del Cantábrico, tanto en el oriente como en el occidente sin olvidarnos de la zona central tienes opciones para cualquier época del año, lugares clásicos conocidos y recomendados por todos, playas de difícil acceso, acantilados que podrás ver desde el mar, o desde el agua mientras buceas u observas el fondo marino desde la superficie: Llanes, Tapia de Casariego, El Franco, Carreño, Valdés y una lista interminable de lugares te esperan en Asturias.
No olvides lo más importante, disfrutar de tu jornada de buceo de manera segura.
