Ho Chi Ming, 10 nov (EFE).- Las autoridades de Vietnam han evacuado a unas 600.000 personas ante la llegada del tifón Haiyan, que ha dejado un rastro de desolación en la región central de Filipinas y que alcanzará la mañana del lunes las costas vietnamitas, informaron hoy fuentes oficiales.
«Hemos evacuado más de 174.000 hogares, equivalentes a más de 600.000 personas», indicó un informe del Departamento de Control de Inundaciones y Tormentas vietnamita.
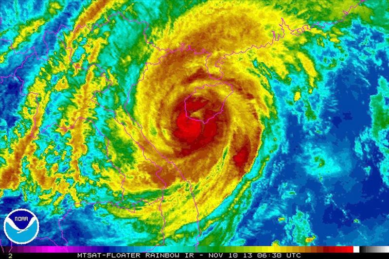
Haiyan se dirige, tras cambiar de rumbo, a las provincias del norte y noroeste con una velocidad de 35 kilómetros por hora, indicó la oficina meteorológica de Vietnam.
El tifón, que a su paso por Filipinas alcanzó su máxima potencia, ha perdido fuerza durante su transcurso por el Mar del Sur de China hasta que el departamento vietnamita lo rebajara al nivel de potencia 1, el más bajo de la escala.
De momento, al menos 4 personas han muerto en Vietnam mientras se encontraban preparando sus hogares para la llegada del fenómeno meteorológico, declaró la directora del la organización CARE, Claudia Futterknecht, al canal australiano ABC.
El primer ministro vietnamita, Nguyen Tan Dung, declaró el viernes tras una reunión de emergencia que a pesar de que el tifón llegará debilitado, aún tiene fuerza para «complicar» la situación por lo que se han tomado medidas de seguridad para «limitar las consecuencias en términos humanos y materiales».
La aerolínea estatal Vietnam Airlines confirmó que 62 de sus vuelos han sido cancelados debido al temporal.
Las consecuencias del paso de Haiyan por Filipinas aún son imprecisas, aunque las autoridades locales hablan de que el número de muertos puede superar los 10.000 solo en la isla de Leyte.
